基于流固耦合的河道土质岸坡护岸结构优化数值分析

    Numerical analysis of optimization of revetment structures of soil bank slopes of inland rivers

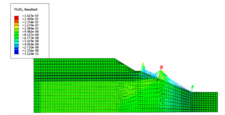
    • 摘要: 护岸结构可以减小水流冲刷等作用对土质岸坡产生的崩岸破坏,但这类结构的设置将对既有岸坡的渗流、变形等过程产生不可忽视的影响。以新孟河延伸拓浚工程为原型,采用流固耦合有限元方法,分析了边坡在设置了以黏土包坡为主体的防护结构时岸坡渗流特征及长期稳定性。计算结果表明,高地下水位地区选择弱透水结构的护岸形式时,护岸结构附近易产生“侧向绕渗”作用,在低河道水位工况下有产生渗透破坏的风险;同时,因局部渗透力增加而导致边坡稳定系数下降。针对黏土包坡护岸结构的不利因素,通过数值计算对黏土包坡护岸结构进行了优化。在黏土包坡护岸结构中增设袋装碎石护脚,可以有效降低黏土包坡层内流速及坡面局部渗透力;在黏土包坡护岸结构中设置坡面横向排水管,能提升岸坡的长期稳定性。

       

      Abstract: The revetment structure can reduce the damage of soil bank slopes caused by water erosion, but its influences on the physical and mechanical processes such as seepage and deformation of the existing bank slopes should be fully considered in practice. Taking Xinmeng River extension project as the prototype, the influences of the revetment structure with clay on the seepage characteristics and stability of bank slopes are analyzed by the fluid-solid coupling finite element method. The calculated results show that when the clay slope is selected as the revetment form in the high water level area, the phenomenon of "lateral seepage" is likely to occur around the revetment structure. However, there is a hidden danger of seepage failure in the low water level area. Meanwhile, the safety factor of slope decreases due to the increase of local seepage force. In view of the unfavorable factors of the revetment structure with clay, numerical calculations are performed to further optimize the revetment structure with clay. Adding bagged gravel foot protection to the revetment structure of clay bank slope can effectively reduce the velocity in the clay slope layer and the local permeability of the slope surface. Setting up lateral drainage pipes on the revetment structure of slope in the clay-encrusted bank can improve the long-term stability of the bank slope.

       

    /

    返回文章
    返回